Зміст
- Чому на яблуні та груші скручуються листя – причини і поради, що робити
- Чому у яблуні та груші скручуються листя
- Причина 1. Брак харчування і води
- Причина 2. красногалловая тля на яблуні та груші
- Причина 3. Звичайна тля на яблуні та груші
- Причина 4. Листовійка на яблуні та груші
- Причина 5. Борошниста роса на яблуні та груші
- Причина 6. Парша яблуні та груші
- Причина 7. Бактеріальний опік яблуні і груші
- Причина 8. борознистим деревини на яблуні та груші
Чому на яблуні та груші скручуються листя – причини і поради, що робити
Яблуні та груші – найпопулярніші дерева на наших дачних ділянках, тому про проблеми цих культур і правильному догляді за ними повинен знати кожен садівник. Скручування листя може бути викликано масою причин – розглянемо їх все.
Не випадково досвідчені садівники рекомендують регулярно (хоча б 2 рази в тиждень) оглядати свій сад. Причому робити це потрібно не тільки в період цвітіння або плодоношення, а безперервно з весни по осінь. Тільки так можна своєчасно помітити, що на дереві лист скручується і жовтіє, а саме воно явно втрачає сили. Виявити таку картину можна як на молодих, так і на дорослих зерняткових деревах, адже від хвороб, шкідників і неправильного догляду не застраховане жодне з них.

Чому у яблуні та груші скручуються листя
Листя у плодових скручуються не так уже й рідко, а причин у такого явища чимало. Важливо точно розуміти, що відбувається з вашим деревцем і як йому допомогти, адже неправильне лікування і обробка можуть лише погіршити ситуацію і додати рослині проблем.
Причина 1. Брак харчування і води
Найпоширеніша і легкоустранімих причина – пересихання грунту або нестача поживних речовин. Якщо у вас на ділянці бідна грунт, а ви не балували сад підгодівлею або з самої весни стоїть спекотна суха погода, а до поливу не дійшли руки, то першими про це "сповістять" саме листя. Першими зазвичай скручуються верхні листки, потім вони починають засихати і опадати, а після сохне і загинається листя все нижче по кроні. Передує скручування стан м'яких "тряпочних" листочків і повядшіе молоді прирости на гілках.

Якщо ви відмітили у яблуні або груші брак води, ретельно полийте її пристовбурні кола так, щоб земля в ньому промокла на глибину до 40 см. При цьому намагайтеся не лити чітко під корінь, а розподіляти воду по проекції крони – саме там розташовуються усмоктувальні корінці.
З харчуванням все складніше, швидко відновити дефіцит не вийде. Після рясного поливу в пристовбурні кола кожного дерева закладіть 1,5 склянки золи і 30 г аммофоскі (з розрахунку на 1 кв.м). Через 2 тижні обприскати листя гумату натрію або гумату калію (5 г сухого порошку розведіть в 10 л теплої води температурою 25-28 ° С, розчин рідкого препарату слід готувати за інструкцією на упаковці). Після цього крона повинна відновитися, а садівникові слід регулярно проводити кореневі і позакореневе підживлення, щоб не допустити повторення проблеми.
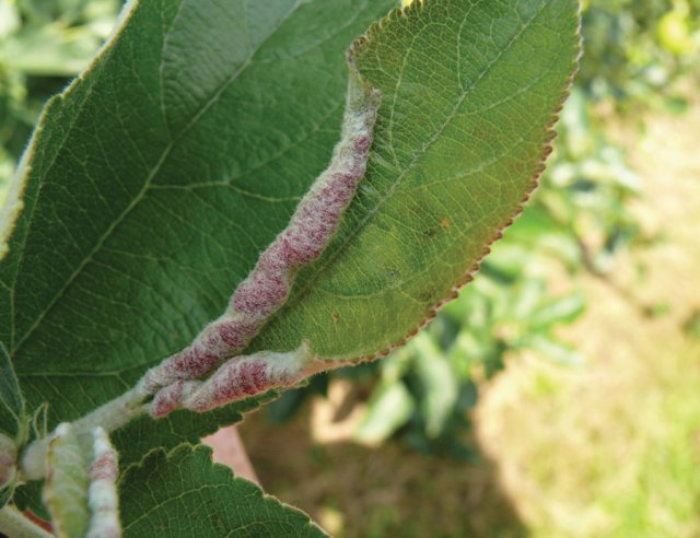
Причина 2. красногалловая тля на яблуні та груші
Дуже легко впізнати навіть на ранніх стадіях поява красногалловая попелиці, яку також називають сірою. Хоча самі комахи невеликі і неяскраві, місця їх перебування можна обчислити за характерними яскраво-червоним здуття і крученим складкам на листках. При сильному ураженні листя засихають і опадають, а потім плями з'являються і на плодах.

Боротьба з красногалловая попелиць нічим не відрізняється від боротьби з її звичайними побратимами. Це і побілка стовбурів, і чистка відмерлої кори, і знищення уражених листя, і ловчі пояси, і застосування інсектицидів.
Причина 3. Звичайна тля на яблуні та груші
Колонії звичайної попелиці не так помітні здалеку, проте при найближчому розгляді їх поселення виглядають так, немов хтось зім'яв молодий пагін разом з листям. Від втрати соку, який висмоктує тля, листя скручуються всередину, деформуються, а потім опадають. Не варто думати, що для дерева все закінчиться втратою частини зелені – попелиця також переносить безліч захворювань, які можуть стати смертельними для молодих або ослаблених яблунь і груш.

Якщо в даний момент дерево не цвіте, і ви не плануєте збір врожаю найближчим часом, то від колоній попелиці бажано позбуватися за допомогою спеціальних засобів.Вам на допомогу прийдуть Інта-Вир, Бі-58, Неорон, Акорд, Імідор, Табазол, Фатрін, Цунамі, Шарпей. Якщо ж на гілках вже висять плоди, то краще обійтися народними засобами.
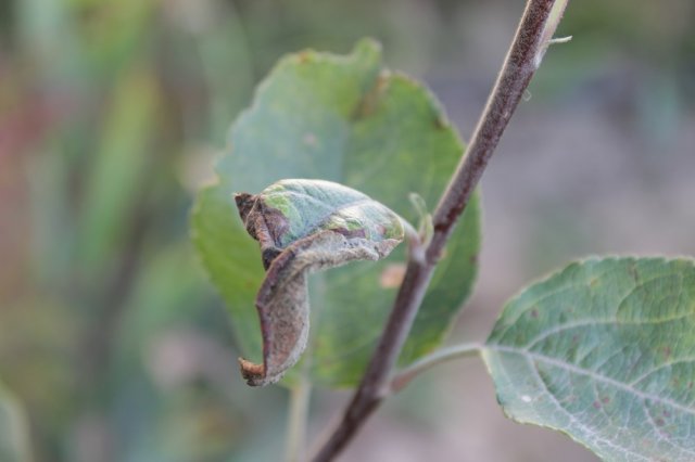
Причина 4. Листовійка на яблуні та груші
Абсолютно здорові молоді листки скручуються в тугу трубочку, а потім чорніють і опадають? Це гусениці листовійки оселилися на вашому дереві і запустили в листочки свою отруту, від якого вони деформувалися, ставши і їжею, і будиночком. Якщо не позбуватися від листокруток своєчасно, можна втратити до 80% листя на плодових деревах, а значить, залишитися і без врожаю, і, ймовірно, без самого дерева.

Народні засоби у боротьбі з листовійкою практично марні, а інсектицидами користуватися під час наливу плодів не можна. Залишаються біопрепарати (Акарін, Бітоксибацилін, Лепідоцид, Фитоверм), а також ручне збирання та знищення заражених листів.
Причина 5. Борошниста роса на яблуні та груші
Молоде листя скручуються і від борошнистої роси. Виявити її непросто, і до того моменту, коли садівник розуміє, що саме не так з його деревом, воно може вже бути уражено на третину. Борошниста роса хоч і не так згубна для яблуні, як для інших культур, все ж знижує врожайність на 30-50%, а це має велике значення. Саме молоде листя виявляються найбільш беззахисними, оскільки хвороби легше проникнути в їх тканини.

Профілактикою (але не лікуванням) борошнистої роси стане обробка 1% -ним розчином бордоської рідини, вона призупинить зараження. А ось позбавити дерево повністю можна лише фунгіцидами, наприклад, Топазом. При цьому важливо пам'ятати, що використовувати їх потрібно не пізніше, ніж за місяць до збору врожаю. Після збирання плодів все рослинні залишки з-під дерева і листя з нього необхідно прибрати за межі ділянки і спалити.
Причина 6. Парша яблуні та груші
Ще одне грибкове захворювання – парша – може вразити як яблуню, так і грушу. У вологу вітряну погоду суперечки парші розносяться далеко і можуть заразити весь сад. Особливо це небезпечно, якщо посадки загущени, крони дерев не піддавалися обрізанню, під ними росте висока трава, а полив проводиться прямо по листю.

Починається парша з появи на листках оливково-бурого нальоту. Потім листя скручуються вгору, буріють, покриваються плямами, опадають, а захворювання переходить на плоди, приводячи до появи тріщин і загнивання.
Врятуватися від парші не завжди допомагають навіть фунгіциди. Їх потрібно використовувати до і відразу після цвітіння, строго по інструкції, а якщо не допомогло, то додати додаткові позакореневе підживлення. 15 г сульфату калію, 15 г калійної селітри, 10 г аміачної селітри і 10 г сульфату амонію розведіть у відрі теплої води і розбризкайте розчин по листю, через тиждень повторіть, доведіть число підгодівлі до 3 і почекайте – результат повинен незабаром проявитися.
Найчастіше листя у яблуні та груші скручуються по одній і тій же причині. Обидва дерева з однаковою ймовірністю можуть страждати від нестачі вологи або харчування, стати об'єктом уваги попелиці та листовійки, страждати від парші або борошнистої роси.
Причина 7. Бактеріальний опік яблуні і груші
Чи не можете зрозуміти, чому листя груші чорніють і скручуються в трубочку, а на яблуні згортаються і буріють, немов обпалені? Ймовірно, у вашому саду оселився "гангрена" або, кажучи сучасною мовою, рознощик бактеріального опіку. Ця хвороба дуже активно поширюється, вражає більшість культур і за пару років може залишити від саду лише спогади і непривабливе "згарище". Бути пильними потрібно ще до того, як на деревах почнуть відмирати листя – коричневі опадає квітки стають першою ознакою захворювання.

Боротьба з бактеріальним опіком повинна початися негайно після того, як ви запідозрили його на своїх деревах. В якості головного помічника виступлять антибіотики, яких потрібно чимало, особливо, якщо дерев у вас кілька – обробляти доведеться все.Для початку виріжте на кільце все уражені гілки, обробіть зрізи 1% -ним мідним купоросом, а залишки спаліть. Потім обприскати дерева антибіотиками Рифампіцин (50 мкг / мл), Гентамицин (50 мкг / мл), Стрептоміцин (50 мкг / мл), хлорамфенікол (50 мкг / мл), канаміцин (20 мкг / мл) або налидиксовой кислотою (20 мкг / мл). Дозування: 1-2 таблетки / ампули на 5 л води. Такої кількості вистачить на 8-10 молодих дерев. Якщо заходи не допомогли, дерево доведеться знищити, поки воно не заразила все решта в саду.
Причина 8. борознистим деревини на яблуні та груші
Ще одне вірусне захворювання, яке з'являється буквально з нізвідки і знищує найкращі дерева у вашому саду – борознистим деревини. Поширюється воно вегетативно (з насінням, підщеп, під час щеплень) і практично завжди призводить до загибелі дерева. Перший ознакою того, що ви купили хворий саджанець, – видозміна його листя. На них з'являються яскраві плями, вони скручуються і червоніють вже на початку-середині літа, плоди також мають неприродно яскраве забарвлення. Потім на стовбурі дерева з'являються темно-коричневі і чорні розводи, здуття, рубці, а молодої порослі та пагонів практично не наростає.

Дерево слабшає і гине, а врятувати його, на жаль, неможливо. Вам залишається тільки знищити залишки, продезінфікувати грунт і запам'ятати розплідник, в якому ви придбали цей саджанець, щоб більше ніколи в нього не звертатися.
Пам'ятайте, що більшість проблем і хвороб у яблуні та груші схожі, тому при виявленні одного зараженого або уподобаного шкідниками дерева в своєму саду проконтролюйте і стан інших, а також не забувайте про профілактичні обробки.